BRASÍLIA DE MINAS/MG - Lote urbano - Área total de 480m² - Loteamento Nova Brasília

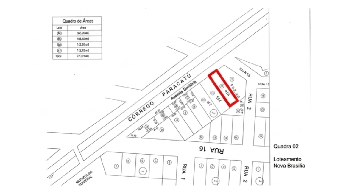
Trata-se de um lote de terreno urbano nº 07 da quadra 02, com área total de 480,00m² (quatrocentos e oitenta metros quadrados), integrante do Loteamento denominado Nova Brasília, situado na cidade de Brasília de Minas - MG, conforme Memorial Descritivo e Planta elaborados pelo Engenheiro Agrimensor Umberto Eustáquio Pereira Neves (CREA 56628/D), ART nº 1420200000006449336.

O imóvel possui os seguintes limites e confrontações: pela frente, em extensão de 12,00 metros, confronta com a Avenida Sanitária; pelo lado direito, em extensão de 40,00 metros, confronta com o lote 08; pelos fundos, em extensão de 12,00 metros, confronta com o lote 09; e, pelo lado esquerdo, em extensão de 40,00 metros, confronta com o lote 06.

R$160.003,20